زمین شار

زمین شار

فرهنگستان زبان و ادب

{groundwash} [حمل ونقل هوایی] جریان حاصل از کار موتور یا حرکت نوک ملخ هواگَردهای بزرگ که در روی زمین گردباد ایجاد می کند

دانشنامه عمومی

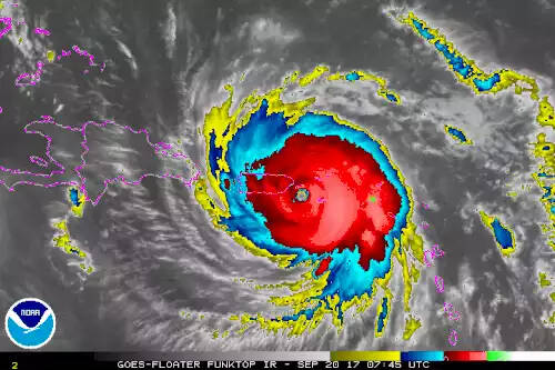
زمین شار ( به انگلیسی: Landfall ) رویدادی است که طی آن یک توفان پس از حرکت بر روی پهنه های آبی، به خشکی می رسد. زمانی که مرکز یک توفند به ساحل می رسد عامل ایجاد زمین شار به شمار می رود. در چرخندهای حاره ای نسبتاً قوی، زمین شار زمانی روی می دهد که چشم توفان به خشکی می رسد و در این زمان بیشترین آسیب و تخریب یک توفند بالغ، تایفون یا هاریکان رخ می دهد، زیرا بیشترین قدرت این سامانه های توفانی در نزدیکی چشم توفان متمرکز شده است. اثرات زمین شار شامل افزایش خیزآب، هسته بادهای شدید به سمت ساحل و باران های سنگین سیل آسا می شود. این پدیده ها همراه با امواج بلند می تواند منجر به فرسایش ساحلی شدید شود. وقتی که یک توفند باعث ایجاد زمین شار می شود، چشم توفان به خودی خود و به دلیل اثر منفی عوامل محیطی بر روی خشکی مانند اصطکاک، بسته شده که منجر به کاهش اثر و شدت امواج و هوای خشک تر قاره ای می شود.
زمانی که یک پیچند دریایی باعث ایجاد زمین شار شود، آن را به عنوان یک پیچند می شناسند که متعاقباً می تواند باعث آسیب به مناطق داخلی و روی خشکی شود. زمانی که یک پیچند دریایی در هوای صاف باعث زمین شار شود، معمولاً به سرعت و به دلیل اصطکاک و و کاهش مقدار هوای گرم موجود در ابر قیفی از بین می رود.

اونلی فنز یعنی چه؟
اونلی فنز یعنی چه؟
مریم یعنی چه؟
مریم یعنی چه؟
فال امروز
فال امروز